• Ulica braće Cvijića 3, 10000 Zagreb
  • PON-PET: 08-16h

Grad Jastrebarsko

Geodetski elaborat za potrebe provođenja promjena u katastru zemljišta izrađen u svrhu evidentiranja izvedenog stanja ceste - NC4424 Plešivica

Grad Jastrebarsko

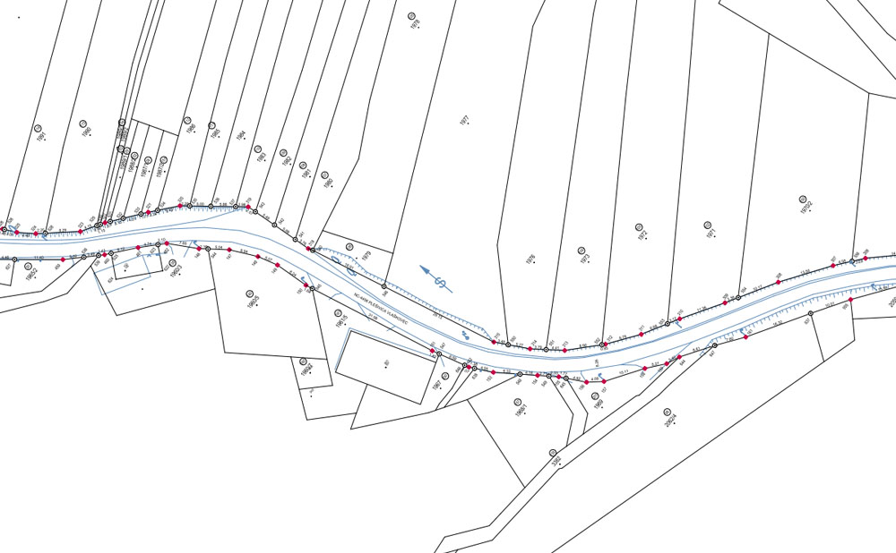
Izrada geodetskog elaborata za potrebe provođenja promjena u katastru zemljišta izrađen u svrhu evidentiranja stvarnog stanja nerazvrstane ceste - NC4456 - Plešivica Vlaškovec

Izrada geodetskog elaborata za potrebe provođenja promjena u katastru zemljišta izrađen u svrhu evidentiranja stvarnog stanja nerazvrstane ceste - NC1847 - Draga Svet. Japetić

Izrada geodetskog elaborata za potrebe provođenja promjena u katastru zemljišta izrađen u svrhu evidentiranja stvarnog stanja nerazvrstane ceste – NC3011 - Ivančići

Izrada geodetskog elaborata za potrebe provođenja promjena u katastru zemljišta izrađen u svrhu evidentiranja stvarnog stanja nerazvrstane ceste – NC3301 – Kupeć Dol

Izrada geodetskog elaborata za potrebe provođenja promjena u katastru zemljišta izrađen u svrhu evidentiranja stvarnog stanja nerazvrstane ceste – NC4305 - Petrovina

Izrada geodetskog elaborata za potrebe provođenja promjena u katastru zemljišta izrađen u svrhu evidentiranja stvarnog stanja nerazvrstane ceste – NC3805 – Novaki Petrovinski

Izrada geodetskog elaborata za potrebe provođenja promjena u katastru zemljišta izrađen u svrhu evidentiranja stvarnog stanja nerazvrstane ceste – NC1613 – Donja Reka

Izrada geodetskog elaborata za potrebe provođenja promjena u katastru zemljišta izrađen u svrhu evidentiranja stvarnog stanja nerazvrstane ceste – NC1611 – Donja Reka

Izrada geodetskog elaborata za potrebe provođenja promjena u katastru zemljišta izrađen u svrhu evidentiranja stvarnog stanja nerazvrstane ceste – NC1609 – Donja Reka

Izrada geodetskog elaborata za potrebe provođenja promjena u katastru zemljišta izrađen u svrhu evidentiranja stvarnog stanja nerazvrstane ceste – NC1602 – Donja Reka

Izrada geodetskog elaborata za potrebe provođenja promjena u katastru zemljišta izrađen u svrhu evidentiranja stvarnog stanja nerazvrstane ceste – NC1002 – Cvetković

Izrada geodetskog elaborata za potrebe provođenja promjena u katastru zemljišta izrađen u svrhu evidentiranja stvarnog stanja nerazvrstane ceste – NC5002 – Slavetić

Izrada geodetskog elaborata za potrebe provođenja promjena u katastru zemljišta izrađen u svrhu evidentiranja stvarnog stanja nerazvrstane ceste – NC4509 – Prhoć

Izrada geodetskog elaborata za potrebe provođenja promjena u katastru zemljišta izrađen u svrhu evidentiranja stvarnog stanja nerazvrstane ceste – NC4507 – Prhoć

Izrada posebnih geodetskih podloga u svrhu iskođenja akata prostornog uređenja i gradnje.

Izrada geodetskog elaborata iskolčenja klizišta u svrhu sanacije cestovnog klizišta na nerazvrstanoj cesti u naselju Jurjevčani

Izrada geodetskog elaborata iskolčenja klizišta u svrhu sanacije cestovnog klizišta na nerazvrstanoj cesti u naselju Prhoć

Iskolčenje dječjeg vrtića „Radost“ - Desinec

Izrada geodetskog elaborata iskolčenja klizišta u svrhu sanacije cestovnog klizišta na nerazvrstanoj cesti u naselju Prodin Dol

Izrada geodetskog elaborata za potrebe provođenja promjena u katastru zemljišta izrađen u svrhu promjena područja i granica katastarskih općina u K.O. Šipački Breg i K.O. Sveta Jana

Geodetski situacijski nacrt stvarnog stanja izvedene građevine – dvorac Erdödy

Grad Jastrebarsko
Grad Jastrebarsko logo